في إطار خطة جهاز حماية وتنمية البحيرات والثروة السمكية لتطوير المزارع السمكية وتعظيم الاستفادة من إمكانياتها الإنتاجية، يواصل الجهاز تنفيذ أعمال الحصاد بمزرعة المنزلة السمكية، تنفيذًا لتوجيهات السيد اللواء أ.ح/ الحسين فرحات “المدير التنفيذي للجهاز”، وبما يسهم في زيادة المعروض من الأسماك ودعم منظومة الأمن الغذائي.
إنتاج ٣٣ طنًا من الأسماك
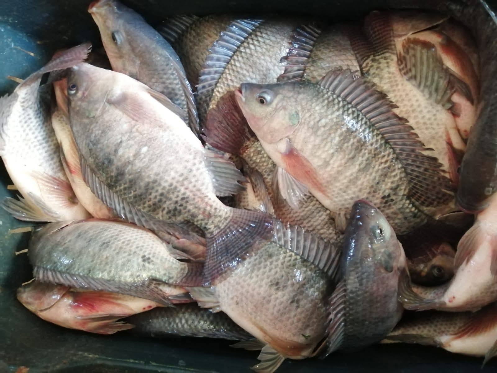
وأسفرت أعمال الحصاد عن إنتاج ٣٣ طنًا من الأسماك المتنوعة، تم صيدها من حوض سمكي تبلغ مساحته ٨ أفدنة، وذلك وفق برامج تشغيل فنية محكمة تراعي الاشتراطات البيئية والصحية، وتستهدف تحقيق أعلى معدلات الجودة والكفاءة الإنتاجية.
وأشار سيادة اللواء أ.ح/ الحسين فرحات أن مزرعة المنزلة تُعد من المزارع الاستراتيجية التابعة للجهاز، لما لها من دور مهم في دعم الإنتاج السمكي، مشيرًا إلى أن الجهاز يواصل العمل على تطوير أساليب التشغيل ورفع كفاءة المزارع التابعة له، مع إيلاء إهتمام خاص بالعنصر البشري باعتباره الركيزة الأساسية للعملية الإنتاجية.

ومن جانبه، أوضح الدكتور/ محمد إبراهيم نوفل “مدير عام الإدارة العامة للمزارع” بجهاز حماية وتنمية البحيرات والثروة السمكية، أن النتائج المتحققة بمزرعة المنزلة تعكس كفاءة الإدارة الفنية وحُسن التخطيط والتشغيل، مؤكدًا استمرار تقديم الدعم الفني والمتابعة الدورية للمزارع التابعة للجهاز، بما يضمن تعظيم الإنتاج وتحقيق أفضل عائد اقتصادي، مع الالتزام بالمعايير العلمية الحديثة التي تحقق الاستدامة.
موضوعات هامة
أسعار الذرة في الموانئ الأوكرانية ترتفع بمقدار 1-2 دولار للطن خلال الأسبوع الجاري
الصين تواصل زيادة وارداتها من فول الصويا البرازيلي رغم استئناف الواردات الأمريكية
أوكرانيا تصدر كميات متساوية من القمح والذرة في الموسم الحالي
القمح ينهي تداولات الأربعاء على ارتفاع في البورصات الثلاثة
مزرعة المنزلة السمكية

كما أكد المهندس/ سعود أبو السعود فياض “مدير مزرعة المنزلة السمكية”، إن أعمال الحصاد تتم وفق خطة تشغيل دقيقة تشمل المتابعة اليومية للأحواض السمكية وتنفيذ برامج التغذية والرعاية، ما أسهم في تحقيق إنتاج متنوع يتمتع بجودة مرتفعة، مؤكدًا حرص إدارة المزرعة على الالتزام بالمعايير الفنية وتطوير الأداء بشكل مستمر.
وأشار مدير المزرعة إلى أن فرق العمل بالمزرعة تبذل جهودًا كبيرة خلال مراحل الصيد والفرز للحفاظ على جودة الأسماك وسلامتها، إلى جانب الالتزام بإجراءات السلامة المهنية، بما يعكس الانضباط والجدية في منظومة العمل.
تعرف على أسعار شركات أعلاف الأسماك اليومية
واختُتمت أعمال الحصاد بتوجيه الشكر والتقدير للعاملين بمزرعة المنزلة السمكية والقائمين على أعمال الصيد والفرز، تقديرًا لجهودهم المخلصة، مع التأكيد على مواصلة العمل بنفس الكفاءة خلال الفترة المقبلة دعمًا لمنظومة الإنتاج السمكي.
لمزيد من التحديثات حول سوق الحبوب تابع التطورات الإضافية على موقعنا.


